Local Service Guide

Get Red Ant Extermination in Rockwall, TX

Red Ant Extermination services for property owners in Rockwall, TX, and nearby areas address pest infestations like ants, termites, and rodents through targeted removal and prevention projects.

Rockwall, TX

Property owners in Rockwall, TX, seeking effective ant control solutions can find valuable assistance by exploring local service providers experienced in pest extermination. Whether dealing with an ongoing ant problem or planning preventative measures, understanding the options available in the area can help make informed decisions for maintaining a pest-free property. Comparing different local contractors allows property owners to assess the approaches and expertise that best suit their specific needs.

Continuing to explore available services can provide clarity on how local extermination specialists approach ant management, ensuring that property owners select the right partner for their project. Learning about the range of options and the expertise of nearby professionals can support effective planning and help achieve lasting results in pest control efforts.

Get Red Ant Extermination Quotes

  • Ant Extermination - when ants invade kitchens or outdoor spaces in neighborhoods around Rockwall, TX.
  • Termite Treatment - to address wood damage and prevent infestations in residential homes in the local area.
  • Rodent Control - when mice or rats are found nesting in attics, basements, or crawl spaces in nearby communities.
  • Spider Removal - to eliminate spiders that have taken refuge inside homes or around yard structures in the local region.
  • Pest Prevention Services - to help maintain a pest-free environment in residential and commercial properties in the area.
Red Ant Extermination
Red Ant Extermination
Red Ant Extermination

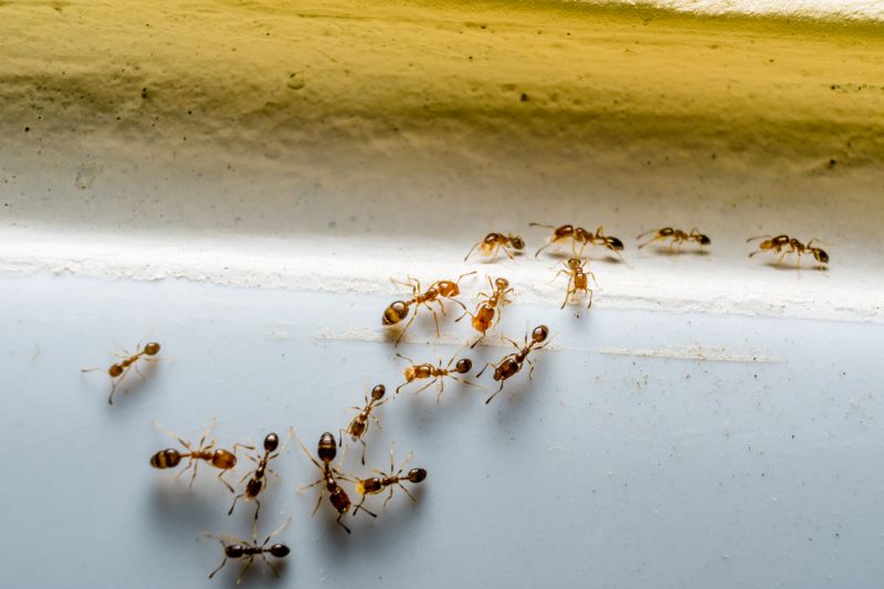
Red Ant Extermination services focus on eliminating red ants from residential properties, helping homeowners restore comfort and safety in their living spaces. These services typically involve thorough inspections to identify ant colonies and entry points, followed by targeted treatments to eradicate existing nests and prevent future invasions. Service providers may use a combination of baiting, sprays, and barrier treatments to ensure comprehensive control. Proper application and strategic placement of treatments are essential to effectively reduce or eliminate red ant populations around a home.

Red ants can cause a range of problems for homeowners, including disturbing outdoor activities and creating unsightly mounds around the yard. In some cases, their nests may be located near foundations, patios, or garden beds, leading to ongoing invasions that are difficult to manage without professional help. While red ants are generally not aggressive, their presence can be a nuisance, and their mounds can damage lawns or disturb landscaping. Red ant extermination services help address these issues by removing the colonies and reducing the likelihood of recurring problems.

These extermination services are often utilized by homeowners in various types of properties, from single-family houses to multi-unit residential buildings. They are particularly common in areas with warm, dry climates where red ants thrive. Properties with extensive landscaping, gardens, or outdoor living spaces are more likely to experience ant activity, making professional treatment a practical solution. Additionally, properties that have experienced previous infestations or are located near wooded areas may benefit from regular pest management to keep red ants at bay.

Homeowners typically seek red ant extermination services when they notice ant mounds in their yard, see ants crawling inside their home, or experience ongoing pest issues despite DIY efforts. Recognizing the signs of a red ant problem early can help prevent larger infestations and property damage. Service providers offer tailored solutions that address the specific needs of each property, ensuring that red ant issues are handled effectively. Contacting local contractors for assistance can be an important step toward maintaining a pest-free home environment in Rockwall, TX, and surrounding areas.

The overview below groups typical Red Ant Extermination projects into broad ranges so you can see how smaller, mid-sized, and larger jobs often compare in Rockwall, TX.

In many markets, a large share of routine jobs stays in the lower and middle ranges, while only a smaller percentage of projects moves into the highest bands when the work is more complex or site conditions are harder than average.

Smaller Repairs - Typical costs for minor ant or termite treatments in Rockwall, TX range from $250 to $600. Many routine jobs fall within this middle range, covering standard infestations or localized issues.

Moderate Extermination Projects - Larger, more involved treatments such as extensive ant colonies or initial termite inspections generally cost between $600 and $1,500. These projects are common for homes with moderate pest activity.

Full Property Treatments - Complete pest control services for larger properties or severe infestations can range from $1,500 to $3,000. Fewer projects reach this high tier, typically involving multiple visits or comprehensive treatments.

Full Replacement or Barrier Installations - Larger, more complex projects like barrier installations or extensive soil treatments can exceed $3,000, with some reaching $5,000 or more. Such jobs are less common but necessary for severe or ongoing pest issues.

Actual totals will depend on details like access to the work area, the scope of the project, and the materials selected, so use these as general starting points rather than exact figures.

Get a Quote

Pest Control Treatments - Professionals experienced in pest management utilize similar planning and tools to eliminate ants and other pests effectively around homes and businesses.

Termite Inspection and Control - These projects require detailed inspection methods and treatment strategies comparable to those used in ant extermination services.

Wildlife Removal Services - Handling nuisance animals involves planning and equipment similar to ant control, focusing on safe and effective removal techniques.

Rodent Exclusion and Control - Sealing entry points and implementing control measures share techniques with ant extermination, requiring careful planning and execution.

Mosquito and Insect Barrier Installations - Setting up barriers for insect prevention involves similar tools and planning to those used in ant pest management.

Outdoor Pest Prevention Landscaping - Creating pest-resistant landscapes involves strategic planning and pest control methods akin to those used in ant extermination projects.

Red Ant Extermination

When choosing a contractor for Red Ant Extermination services in the Rockwall, TX area, it’s important to consider their experience with similar pest control projects. Homeowners should look for service providers who have a track record of successfully handling ant infestations comparable in scope and complexity to their own situation. This can help ensure the contractor understands the specific behaviors and habitats of red ants, leading to more effective treatment and long-lasting results. Asking for details about their past projects or areas of specialization can provide insight into their familiarity with local pest challenges.

Clear, written expectations are essential when comparing local contractors for ant extermination. Homeowners should seek service providers who offer detailed descriptions of the approach they plan to take, including the methods and products they intend to use. Having this information in writing helps prevent misunderstandings and ensures that both parties are aligned on the scope of work. It’s also beneficial to inquire about any guarantees or follow-up procedures, so expectations around ongoing support are transparent and well-defined.

Reputable references and good communication are key indicators of a trustworthy pest control service provider. Homeowners can ask potential contractors for references from previous clients who had similar ant issues, providing an opportunity to learn about their experiences. Additionally, responsive and clear communication throughout the inquiry process can reflect the contractor’s professionalism and willingness to address questions or concerns. While this site introduces homeowners to local options, it’s important to evaluate each service provider’s reputation and communication style to find the best match for handling the job effectively.

Get a Red Ant Extermination Quote

Property owners in Rockwall, TX use Red Ant Extermination services for practical projects around their homes and businesses. This guide focuses on everyday jobs and straightforward project options.

Red Ant Extermination
Red Ant Extermination

Property owners in Rockwall, TX may seek Red Ant Extermination services when they notice an increase in ant activity around their homes or businesses. Common situations include discovering trails of ants in kitchens, bathrooms, or outdoor living areas, especially during warmer months when these pests tend to become more active. In addition, individuals may want to address ant infestations that have started to spread into structural cracks or behind walls, prompting the need for professional intervention to effectively eliminate the problem.

Many property owners also turn to local contractors for ongoing pest control solutions to prevent future ant invasions. This is often the case after experiencing recurring issues or wanting to maintain a pest-free environment in high-traffic or food preparation areas. Whether dealing with a sudden infestation or seeking preventative treatments, residents and business owners can contact experienced service providers in the area who specialize in ant control, ensuring the job is handled efficiently and thoroughly.

Get a Red Ant Extermination Quote

What pests can Red Ant Extermination services handle? Local contractors can address a variety of pests including ants, termites, roaches, and other common household invaders in Rockwall, TX and nearby areas.

Are Red Ant Extermination services suitable for residential properties? Yes, many service providers offer solutions tailored for homes, ensuring effective pest control in residential environments.

How do local service providers typically perform pest extermination? They usually assess the infestation, apply targeted treatments, and recommend preventive measures to help keep pests from returning.

Can I get advice on pest prevention from local contractors? Yes, many service providers offer guidance on reducing attractants and sealing entry points to help prevent future infestations.

What types of pest control methods are commonly used? Local pros often use a combination of baiting, trapping, and targeted chemical treatments suited for specific pests and property types.

Residential pest prevention tips - property owners can learn strategies to keep ants, spiders, and other pests from entering their homes in Rockwall, TX.

Inspection and assessment services - local contractors can evaluate a property to identify pest activity and potential entry points.

Customized treatment plans - homeowners can work with service providers to develop targeted solutions for pest issues specific to their property.

Ongoing maintenance advice - property owners can receive guidance on how to maintain a pest-free environment through regular upkeep.

Red Ant Extermination

If you are thinking about Red Ant Extermination for a property in Rockwall, TX, this guide is meant to help you understand the work, the typical project types, and how different options might fit your plans.

When you are ready, you can use the quote form on this page to share a few details about your project. From there, local pros can review the basics and respond with options that match what you have in mind.

Get a Quote

Red Ant Extermination Quotes

Our Trusted Partners
Cantu Pest Control
Orkin
Hawx Pest Control