Local Service Overview

Get Black Ant Extermination in Forney, TX

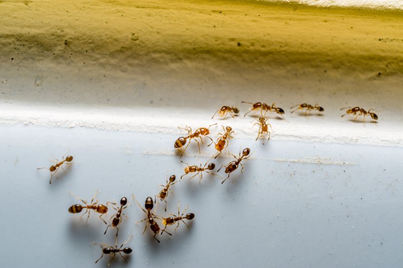
Black Ant Extermination services for Forney, TX, and nearby areas address ant infestations, eliminate colonies, and handle residential or commercial pest control projects.

Forney, TX

Black ant extermination services are essential for property owners in Forney, TX seeking to maintain a comfortable and safe living environment. Ant infestations can disrupt daily routines, pose health concerns, and lead to potential damage to structures and belongings. Professional extermination helps to eliminate colonies effectively, reducing the risk of recurring issues and creating a more functional space for residents and visitors alike.

Choosing expert pest control providers offers benefits such as improved durability of property features, minimized maintenance needs, and enhanced curb appeal. Proper treatment not only addresses current ant problems but also helps prevent future invasions, preserving the integrity of the property’s exterior and interior. This proactive approach supports long-term comfort, safety, and aesthetic value for property owners in the area.

Get Black Ant Extermination Quotes

  • Ant Extermination - needed when ants invade kitchens, pantries, or outdoor spaces in residential or commercial properties.
  • Carpenter Ant Control - required if wood structures show signs of damage or if nesting ants are detected inside buildings.
  • Fire Ant Removal - necessary for lawns and outdoor areas where fire ant mounds pose a threat to people and pets.
  • Sugar Ant Treatment - appropriate when sweet-food seeking ants become a persistent nuisance indoors.
  • Black Ant Prevention - advised to maintain ongoing protection in areas prone to ant infestations in cities and surrounding communities.

Get Black Ant Extermination Quotes

Black Ant Extermination
Black Ant Extermination
Black Ant Extermination

Black ant extermination services focus on identifying and eliminating infestations of black ants within residential and commercial properties. These services typically involve thorough inspections to locate ant colonies, followed by targeted treatments using specialized insecticides. The goal is to control the ant population effectively and prevent future invasions. Many service providers also offer advice on reducing attractants around the property to minimize the likelihood of re-infestation, ensuring a comprehensive approach to ant management.

Black ants can cause various problems for property owners, including nuisance and potential damage. While they are mostly a nuisance pest, large colonies can invade kitchens, pantries, and other areas, contaminating food and surfaces. In some cases, black ants may also establish nests in wall voids, foundations, or outdoor structures, leading to persistent infestations that are difficult to eradicate without professional intervention. Addressing these issues promptly can help maintain a clean and comfortable living or working environment.

The types of properties that commonly utilize black ant extermination services include single-family homes, apartment complexes, restaurants, and retail stores. Residential properties often seek treatment to eliminate ants from kitchens, bathrooms, and yards. Commercial establishments, especially food service businesses, prioritize pest control to meet health and safety standards and prevent disruptions. Additionally, property managers of multi-unit buildings frequently coordinate pest control efforts to manage infestations across multiple units or common areas.

Professional black ant extermination services are tailored to suit the specific needs of different property types and infestation levels. Service providers typically offer customized treatment plans that may include baiting, residual sprays, or dust applications, depending on the severity and location of the problem. Regular inspections and follow-up treatments are often recommended to ensure that ant populations are kept under control and that the property remains ant-free over time. Contacting local pest control experts can help property owners develop an effective strategy for managing black ant issues.

The overview below groups typical Black Ant Extermination projects into broad ranges so you can see how smaller, mid-sized, and larger jobs often compare in Forney, TX.

In many markets, a large share of routine jobs stays in the lower and middle ranges, while only a smaller percentage of projects moves into the highest bands when the work is more complex or site conditions are harder than average.

Initial Inspection - The cost for a black ant inspection typically ranges from $50 to $150, depending on the property size and complexity. This fee often covers a thorough assessment to identify ant activity and entry points.

Basic Treatment - Standard black ant extermination services usually cost between $150 and $300. This includes targeted application of pesticides around entry points and infested areas.

Comprehensive Service - For extensive infestations, prices can range from $300 to $600 or more. These treatments often involve multiple visits, baiting systems, and detailed inspections.

Follow-up Visits - Follow-up treatments or inspections generally cost between $100 and $200 each. These visits ensure the effectiveness of initial treatments and help prevent future ant activity.

Actual totals will depend on details like access to the work area, the scope of the project, and the materials selected, so use these as general starting points rather than exact figures.

Get a Black Ant Extermination Quote

Black Ant Extermination services involve specialized techniques to eliminate black ants from residential and commercial properties. Local pest control providers offer targeted treatments to address infestations effectively.

Ant Control Solutions focus on identifying ant entry points and applying appropriate treatments to prevent future invasions. Professionals customize strategies based on the severity of the infestation.

Insect Extermination services encompass black ant removal as part of broader pest management plans. Service providers utilize various methods to ensure comprehensive pest control.

Infestation Management involves thorough inspections to locate ant colonies and implementing effective eradication measures. Local experts can assist in managing persistent ant problems.

Residential Pest Control includes black ant extermination to protect homes from damage and nuisance. Local providers offer tailored treatments for household infestations.

Commercial Pest Solutions address black ant issues in business environments, helping to maintain hygiene and safety standards. Professional services are available to handle large-scale infestations.

Black Ant Extermination

When evaluating local professionals for black ant extermination, it is important to consider their level of experience in handling ant infestations. Experienced service providers often have a deeper understanding of ant behavior and effective treatment methods, which can lead to more efficient results. Homeowners should inquire about the duration of the pros’ work in the community and their familiarity with common ant issues in areas like Forney, TX and surrounding neighborhoods. This background can help ensure that the selected contractor is well-versed in addressing local pest challenges effectively.

Clear communication and written expectations are vital when working with pest control providers. Reputable pros typically provide detailed descriptions of their services, including the scope of work, procedures, and any preparations needed. Homeowners are encouraged to seek service providers who are transparent about their methods and willing to answer questions, fostering a mutual understanding of what the extermination process entails. Establishing clear expectations upfront can help prevent misunderstandings and ensure that both parties are aligned regarding the approach and outcomes.

Reputable references and a history of reliable service are key indicators of a trustworthy pest control professional. Homeowners should consider seeking recommendations from previous clients or checking online reviews to gauge the experiences of others in the community. Good communication skills and responsiveness also reflect a professional’s commitment to customer service. While the information below introduces local options, it is important to independently verify the reputation and credibility of prospective pros before engaging their services, ensuring a positive and hassle-free extermination experience.

Get a Black Ant Extermination Quote

Property owners in Forney, TX use Black Ant Extermination services for practical projects around their homes and businesses. The sections below highlight everyday jobs and straightforward project options.

Black Ant Extermination
Black Ant Extermination

Black ant extermination services are commonly sought by property owners in Forney, TX, who notice persistent ant activity around their homes or businesses. These insects can invade kitchens, storage areas, and outdoor spaces, creating nuisance problems and potential health concerns. Local service providers are often contacted to assess the extent of the infestation and implement targeted treatments to eliminate the ants and prevent future re-infestations.

Property owners may also seek black ant extermination when ants begin to build nests inside walls or beneath foundations, which can lead to structural damage over time. Additionally, outdoor spaces such as gardens and patios may attract these insects, prompting residents to look for professional solutions to maintain a clean and pest-free environment. Local contractors can offer the expertise needed to address these everyday project situations effectively.

Get a Black Ant Extermination Quote

Why are black ants attracted to my home? Black ants are drawn to food sources, moisture, and shelter, which are commonly found in residential areas, especially during warmer months.

How can I prevent black ant infestations? Keeping your property clean, sealing entry points, and removing food and water sources can help reduce the likelihood of black ant invasions.

What methods do pest control professionals use to eliminate black ants? Local service providers typically use targeted treatments such as baits, sprays, and barrier applications to effectively control black ant populations.

Are black ant problems likely to return after treatment? Properly applied treatments can provide lasting control, but ongoing prevention measures are recommended to minimize future issues.

How do I find local black ant extermination services? Contacting local pest control providers can connect you with professionals experienced in managing black ant infestations in your area.

Black Ant Identification - Learn how to recognize signs of black ant infestations to determine if professional help is needed.

Extermination Methods - Explore common techniques used by local service providers to effectively eliminate black ant colonies.

Preventive Tips - Discover strategies recommended by pros to reduce the likelihood of future black ant invasions.

Finding Local Experts - Get guidance on connecting with experienced extermination specialists in Forney, TX and nearby areas.

Black Ant Extermination

Considering Black Ant Extermination for a property in Forney, TX? The sections above highlight common project types, practical options, and details that often shape the scope of work.

When you are ready, use the quote form to share a few details about your project. Local pros can review the basics and respond with options that match what you have in mind.

Get a Black Ant Extermination Quote

Black Ant Extermination Quotes

Our Trusted Partners
Cantu Pest Control
Orkin
Hawx Pest Control
Mosquito Shield