Local Service Overview

Get Ants Extermination Service in Hunt County, TX

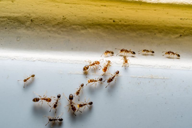
Ants extermination services for Hunt County, TX, and nearby areas address ant infestations in homes and businesses, including removal, prevention, and ongoing pest control solutions.

Hunt County, TX

Ants extermination services are essential for property owners in Hunt County, TX seeking to maintain a comfortable and safe living environment. Infestations can threaten the functionality of a property by damaging structures, contaminating food supplies, and creating an uncomfortable atmosphere. Professional extermination helps address these issues effectively, reducing the likelihood of recurring problems and minimizing the need for ongoing maintenance. This service also enhances curb appeal by ensuring outdoor spaces remain neat and free from unsightly ant activity, contributing to a well-maintained appearance.

Choosing expert ant extermination services offers several practical benefits for property owners. It provides peace of mind by managing infestations efficiently and preventing future invasions, which can otherwise lead to increased costs and inconvenience. Additionally, a pest-free property supports durability by protecting structures from damage caused by ant colonies. Overall, these services help preserve the integrity and appearance of a property while promoting a safer, more functional space for residents and visitors alike.

Get Ants Extermination Service Quotes

  • Ants Extermination Services are needed when homeowners notice ant trails or nests inside or around their property in Hunt County, TX and nearby areas.
  • Professional ant control may be required if ants have invaded kitchens, pantries, or other indoor spaces.
  • Services are often sought after ant infestations occur in outdoor landscaping or garden areas in local neighborhoods.
  • Ant extermination may be necessary when ants become a persistent nuisance that affects daily activities.
  • Contacting local pest control providers can help address ant problems in residential or commercial properties in the region.

Get Ants Extermination Service Quotes

Ants Extermination Service
Ants Extermination Service
Ants Extermination Service

Ants extermination services involve identifying and eliminating ant infestations within residential, commercial, or industrial properties. Service providers typically conduct thorough inspections to locate ant colonies and determine the species involved. Treatment methods may include the application of bait stations, insecticidal sprays, or dusts designed to target ants at different life stages. These services aim to reduce ant populations effectively and prevent future invasions, ensuring a pest-free environment for property occupants.

Ant infestations can lead to various problems, including property damage, contamination of food supplies, and general nuisance. Certain ant species, such as carpenter ants, are known to cause structural damage by excavating wood, while others may contaminate food stored in kitchens or pantry areas. Additionally, some ants can pose health risks through potential allergic reactions or by establishing colonies near areas frequented by people. Exterminating ants helps address these issues by removing the pests and reducing the likelihood of recurring problems.

Properties that often utilize ants extermination services include single-family homes, apartment complexes, restaurants, and warehouses. Residential properties are frequently affected by ant invasions, especially during warmer months when ants are more active. Commercial establishments, particularly those involved in food storage or preparation, seek pest control to maintain hygiene standards and comply with health regulations. Warehouses and storage facilities also require regular pest management to protect inventory from damage and contamination.

Professional ant extermination providers offer tailored solutions based on the specific needs of each property type and infestation severity. These services typically involve a combination of inspection, targeted treatment applications, and recommendations for ongoing pest management. By working with local service providers, property owners and managers can address ant problems efficiently and effectively, maintaining a pest-free environment and protecting their investments.

The overview below groups typical Ants Extermination Service projects into broad ranges so you can see how smaller, mid-sized, and larger jobs often compare in Hunt County, TX.

In many markets, a large share of routine jobs stays in the lower and middle ranges, while only a smaller percentage of projects moves into the highest bands when the work is more complex or site conditions are harder than average.

Initial Inspection - Cost for an ant inspection typically ranges from $50 to $150, depending on property size and complexity. This fee covers a thorough assessment to identify ant activity and entry points.

Basic Treatment - Standard ant extermination services generally cost between $100 and $300 for a single treatment. Prices may vary based on the extent of infestation and treatment method used.

Ongoing Pest Control - Monthly or quarterly pest control plans for ant management usually range from $40 to $70 per visit. These plans often include regular inspections and treatments to prevent future infestations.

Specialized Treatments - For advanced or localized ant problems, costs can range from $200 to $500 or more. These treatments may involve targeted applications or multiple visits by service providers.

Actual totals will depend on details like access to the work area, the scope of the project, and the materials selected, so use these as general starting points rather than exact figures.

Get an Ants Extermination Service Quote

Ants Extermination services connect property owners with local pest control professionals experienced in eliminating ant infestations effectively. These services help identify ant species and recommend targeted treatment options to resolve issues promptly.

Residential Ants Control providers specialize in treating homes and living spaces to remove ant colonies and prevent future invasions. They offer tailored solutions to protect family environments from ant-related nuisances.

Commercial Ants Extermination services assist businesses in maintaining pest-free workplaces by implementing strategic ant control measures. Local pros work discreetly to minimize disruptions while ensuring effective results.

Outdoor Ants Removal solutions focus on eliminating ant colonies outside residential and commercial properties. These services include treatment of lawns, gardens, and surrounding areas to reduce ant activity.

Emergency Ants Pest Control providers offer rapid response options for urgent ant infestations that require immediate attention. They coordinate with local pros to address severe or unexpected ant problems efficiently.

Ants Prevention Services include ongoing monitoring and barrier treatments to help prevent future ant invasions. Local pest control experts develop customized prevention plans based on property-specific needs.

Ants Extermination Service

When selecting a professional for ant extermination services, it is valuable to consider the experience of local contractors. Established providers often have a history of handling ant infestations effectively, which can be reflected in their familiarity with common local ant species and the most effective treatment methods. Reviewing the background and duration of a service provider’s presence in Hunt County or nearby areas can help gauge their familiarity with regional pest challenges and their ability to deliver reliable results.

Clear communication of expectations is an important aspect when working with local pros for ant extermination. Reputable service providers typically outline what the treatment process involves, what homeowners can expect during and after the service, and any necessary follow-up steps. Understanding these details beforehand can help ensure that homeowners are aligned with the scope of work and can plan accordingly, leading to a smoother experience.

Reputable references and feedback from previous clients can serve as useful indicators of a local extermination provider’s reliability and quality of service. Many service providers maintain a portfolio of testimonials or references that demonstrate their track record in successfully managing ant issues. Establishing contact with past clients or reviewing available references can provide insights into the contractor’s professionalism, communication skills, and overall satisfaction levels, aiding homeowners in making an informed decision.

Get an Ants Extermination Service Quote

Property owners in Hunt County, TX use Ants Extermination Service services for practical projects around their homes and businesses. The sections below highlight everyday jobs and straightforward project options.

Ants Extermination Service
Ants Extermination Service

Ants extermination services are often sought by property owners in Hunt County, TX, dealing with common household intrusions. These pests can invade kitchens, pantries, and other areas, attracted by food and moisture sources. Property owners may look for professional assistance to eliminate existing ant colonies and prevent future infestations, especially when DIY methods prove ineffective or temporary.

In addition to indoor concerns, outdoor ant problems can also impact the enjoyment of a yard or garden space. Property owners might seek local extermination services to address ant mounds or trails that pose nuisances or interfere with outdoor activities. Professional pest control providers can help identify the ant species involved and implement targeted solutions to keep properties ant-free.

Get an Ants Extermination Service Quote

How do ant extermination services work? Ant extermination services typically involve inspecting the property to identify ant colonies and entry points, followed by targeted treatments using baits, sprays, or dust to eliminate ants and their nests.

Are ant treatments safe for pets and children? Many local pros use treatments that are safe when applied as directed, but it’s recommended to discuss any concerns with the service provider before treatment.

How long does an ant extermination treatment take? The duration varies depending on the severity of the infestation and treatment methods, but most services are completed within a few hours.

Will I need multiple treatments for ants? Some ant species may require more than one treatment to fully eliminate the colony, especially if the infestation is widespread.

What should I do before an ant extermination service? It’s advisable to clear the area of food, dishes, and clutter to allow access and ensure effective treatment by the service provider.

Ant Control Solutions - Local pest control providers can assess your property and recommend effective ant extermination methods tailored to your needs.

DIY Ant Extermination Tips - Professional service providers can share advice on safe and effective DIY strategies to reduce ant infestations.

Integrated Pest Management - Experts often utilize integrated approaches combining multiple techniques to manage ant populations effectively.

Ongoing Monitoring Services - Many local pros offer regular inspections to ensure ant problems are kept under control over time.

Ants Extermination Service

Considering Ants Extermination Service for a property in Hunt County, TX? The sections above highlight common project types, practical options, and details that often shape the scope of work.

When you are ready, use the quote form to share a few details about your project. Local pros can review the basics and respond with options that match what you have in mind.

Get an Ants Extermination Service Quote

Ants Extermination Quotes

Our Trusted Partners
Cantu Pest Control
Orkin
Hawx Pest Control