Local Service Overview

Get Ants Extermination Service in Seagoville, TX

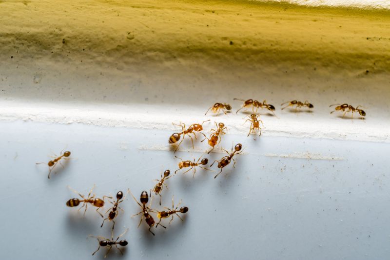
Ants extermination services for property owners in Seagoville, TX, and nearby areas address ant infestations, including residential and commercial pest removal and prevention projects.

Seagoville, TX

Ants extermination services provide property owners in Seagoville, TX with effective solutions to manage and eliminate ant infestations. Addressing these pests helps maintain a comfortable living or working environment by preventing the nuisance and potential damage caused by ant colonies. Proper extermination not only restores peace of mind but also contributes to the safety and functionality of the property by reducing the risk of ant-related issues that can compromise structural integrity or contaminate food supplies.

Engaging professional ant control services offers benefits such as enhanced durability of the property’s structure and surfaces, as well as reduced ongoing maintenance needs. A thorough treatment can improve curb appeal by preventing unsightly ant mounds and trails, while also creating a more inviting exterior. Property owners seeking reliable pest management often look for long-lasting results that help preserve the property's appearance and value over time.

Get Ants Extermination Service Quotes

  • Ants Extermination - Ideal for homeowners experiencing persistent ant activity in their kitchens or living areas.
  • Ants Extermination - Recommended when ants invade outdoor spaces near gardens, patios, or building foundations.
  • Ants Extermination - Necessary for businesses dealing with ant infestations that threaten cleanliness and customer experience.
  • Ants Extermination - Suitable for properties in Seagoville, TX, and surrounding areas facing sudden ant swarms during warmer months.
  • Ants Extermination - Used when ant colonies are discovered inside walls, attics, or other hard-to-reach places requiring professional treatment.

Get Ants Extermination Service Quotes

Ants Extermination Service
Ants Extermination Service
Ants Extermination Service

Ants extermination services involve the identification and elimination of ant colonies within residential, commercial, or industrial properties. Professionals typically perform thorough inspections to locate nests and determine the species involved, which helps in selecting the most effective treatment methods. Treatments may include targeted baiting, spot treatments, or barrier applications designed to reduce ant activity and prevent future infestations. The goal is to effectively remove existing ant populations while minimizing disruption to the property and its occupants.

This service addresses common problems caused by ant infestations, such as property damage, contamination of food supplies, and general nuisance. Certain ant species, like carpenter ants, can cause structural damage by burrowing into wood, while others, such as fire ants, pose health risks through painful stings. Eliminating ants promptly can help prevent these issues from escalating, maintaining a cleaner and safer environment. Professional exterminators also offer guidance on preventing future invasions through sanitation practices and structural repairs.

Ant extermination services are frequently utilized by a variety of property types, including single-family homes, apartment complexes, restaurants, and retail stores. Residential properties often seek these services to protect food storage areas and maintain comfort within the living space. Commercial properties, especially those involved in food handling or hospitality, rely on pest control to meet health and safety standards. Additionally, property managers and business owners in areas prone to ant activity may schedule regular treatments to keep infestations under control.

Engaging with local pest control providers for ant extermination services ensures access to experienced professionals equipped with the appropriate tools and treatments for effective results. These service providers assess the specific needs of each property, develop tailored treatment plans, and implement strategies to eliminate ant populations. Regular inspections and follow-up treatments may be recommended to sustain pest-free conditions and address any new activity promptly.

The overview below groups typical Ants Extermination Service projects into broad ranges so you can see how smaller, mid-sized, and larger jobs often compare in Seagoville, TX.

In many markets, a large share of routine jobs stays in the lower and middle ranges, while only a smaller percentage of projects moves into the highest bands when the work is more complex or site conditions are harder than average.

Initial Inspection - The cost for an ant inspection typically ranges from $50 to $150, depending on property size and complexity. Some providers may charge a flat fee or include it with treatment services. Prices can vary based on local market rates in Seagoville, TX and surrounding areas.

Per-Visit Treatment - Single-treatment services usually cost between $100 and $300. This includes application of ant bait, barriers, or residual sprays to eliminate colonies effectively. The total may increase with the extent of the infestation.

Quarterly Service Plans - Ongoing maintenance plans generally range from $150 to $400 per quarter. These plans often include regular inspections and treatments to prevent future ant problems in residential or commercial properties.

Full Property Extermination - Complete ant extermination for larger properties can cost from $300 to $700 or more. This comprehensive approach involves multiple visits, targeted treatments, and sometimes baiting systems to ensure thorough control.

Actual totals will depend on details like access to the work area, the scope of the project, and the materials selected, so use these as general starting points rather than exact figures.

Get an Ants Extermination Service Quote

Ants Extermination services connect homeowners with local pest control professionals experienced in eliminating ant infestations. These providers offer targeted solutions to address ant problems in residential and commercial properties.

Ants Control specialists assist in identifying ant species and developing effective treatment plans to prevent future invasions. They use proven methods to manage ant populations and protect property interiors.

Ants Removal experts provide prompt removal services to eliminate existing ant colonies and reduce the risk of recurring issues. Contacted pros employ safe and efficient techniques tailored to the specific ant types present.

Ant Infestation Treatment services involve local providers applying specialized treatments to eradicate ant colonies. These treatments aim to target nests and prevent ants from returning to the treated areas.

Ant Pest Control providers offer comprehensive pest management solutions focusing on ant eradication and prevention. They work with property owners to develop ongoing pest control strategies.

Ants Prevention Services help establish barriers and ongoing maintenance to keep ants from invading in the future. Local pros provide advice and treatments to safeguard residential and commercial spaces.

Ants Extermination Service

When choosing an ant extermination service, it’s important to evaluate the experience of local professionals. Experienced providers typically have a history of handling various ant infestations, which can contribute to more effective and efficient treatments. Homeowners should look for local contractors who have been operating in the area for a significant period, as this often indicates familiarity with common ant species and local conditions that influence pest behavior. Gathering information about a provider’s background can help ensure that the selected service has the practical knowledge needed to address specific ant issues effectively.

Clear and written expectations are essential when working with local pest control providers. Homeowners should seek providers who offer detailed descriptions of their services, including the methods used, areas treated, and any preparations or follow-up steps required. Having these expectations documented helps prevent misunderstandings and ensures that both parties are aligned on the scope of work. It’s also beneficial to inquire about the provider’s approach to treatment, any guarantees or warranties, and policies for follow-up visits if necessary, to establish a transparent working relationship.

Reputation and communication are key factors in selecting a reliable ant extermination service. Homeowners are encouraged to review references or seek recommendations from neighbors or local sources to gauge a provider’s reputation. Effective communication involves responsiveness, clarity, and willingness to answer questions, which can contribute to a smoother service experience. While the site introduces local options, it is important to remember that it connects users with local pros rather than performing the work itself, allowing homeowners to choose a provider that best meets their needs based on reputation, experience, and communication style.

Get an Ants Extermination Service Quote

Property owners in Seagoville, TX use Ants Extermination Service services for practical projects around their homes and businesses. The sections below highlight everyday jobs and straightforward project options.

Ants Extermination Service
Ants Extermination Service

Ants extermination services are commonly sought after by property owners in Seagoville, TX, who are dealing with persistent ant infestations in their homes or businesses. These insects can invade kitchens, pantries, and other areas, making daily routines inconvenient and raising concerns about cleanliness. Local service providers can assist with identifying the source of the problem, implementing effective treatment plans, and helping to prevent future ant issues.

Property owners may also look for ant extermination services when noticing increased ant activity around the exterior of their property, such as along foundation walls or in garden beds. Such activity often signals an underlying problem that could lead to larger infestations if not addressed promptly. Local pros can evaluate the situation, recommend appropriate solutions, and help maintain a pest-free environment in residential or commercial spaces.

Get an Ants Extermination Service Quote

How do ant extermination services work? Ant extermination services typically involve inspecting the property to identify ant colonies and entry points, followed by targeted treatments using baits, sprays, or dusts to eliminate ants and prevent future infestations.

Are ant treatments safe for pets and children? Many ant extermination methods are designed to be safe for households with pets and children, but it is recommended to discuss safety concerns with the local service provider before treatment.

How long does an ant extermination treatment last? The effectiveness and duration of ant treatments can vary depending on the method used and the severity of the infestation; a local professional can provide guidance on maintenance and follow-up services.

Can ant extermination prevent future infestations? Yes, professional ant extermination often includes recommendations and treatments that help reduce the likelihood of future ant problems by addressing the source and entry points.

How can I prepare my home for ant extermination services? Preparation may include clearing treated areas, removing food and water sources, and following any specific instructions provided by the service provider to ensure the treatment's effectiveness.

Ants Extermination Techniques - Local pest control providers utilize various methods such as baiting, dusting, and liquid treatments to eliminate ant colonies effectively.

Identifying Ant Infestation Signs - Professionals can assess property conditions to detect ant activity and determine the severity of the infestation.

Preventive Ant Control Tips - Service providers offer advice on sealing entry points and removing attractants to help prevent future ant problems.

Customized Ant Extermination Plans - Local experts develop tailored strategies based on the specific types of ants and the extent of the infestation.

Ants Extermination Service

Considering Ants Extermination Service for a property in Seagoville, TX? The sections above highlight common project types, practical options, and details that often shape the scope of work.

When you are ready, use the quote form to share a few details about your project. Local pros can review the basics and respond with options that match what you have in mind.

Get an Ants Extermination Service Quote

Ants Extermination Quotes

Our Trusted Partners
Cantu Pest Control
Orkin
Hawx Pest Control
Mosquito Shield