Local Service Overview

Get Ants Extermination Service in Allen, TX

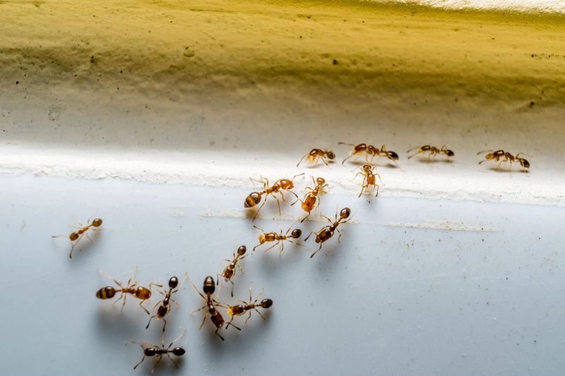
Ants extermination services for property owners in Allen, TX, and nearby areas address ant infestations, prevent future outbreaks, and handle residential and commercial ant control projects.

Allen, TX

Ants extermination services are an essential consideration for property owners in Allen, TX, seeking to maintain a comfortable and safe environment. Effective pest control helps prevent ant infestations that can disrupt daily routines, damage property structures, and contaminate food supplies. By addressing these issues promptly, property owners can enjoy a more functional living or working space with reduced concerns about pests compromising hygiene or safety.

Additionally, professional ant extermination contributes to enhancing curb appeal and reducing ongoing maintenance needs. A pest-free property looks more inviting and well-maintained, which can increase overall property value. Regular treatments from experienced service providers help ensure long-lasting results, promoting durability and minimizing future pest-related problems, so property owners can focus on enjoying their spaces with confidence.

Get Ants Extermination Service Quotes

  • Ants Extermination - needed when ant colonies invade homes or businesses in Allen, TX and surrounding areas.
  • Ants Extermination - required if ants are seen in kitchens, bathrooms, or other indoor spaces.
  • Ants Extermination - necessary when outdoor ant mounds or trails are attracting pests near residential or commercial properties.
  • Ants Extermination - sought after when ant activity persists despite basic cleaning and prevention efforts.
  • Ants Extermination - appropriate when multiple ant species are identified and require targeted treatment solutions.

Get Ants Extermination Service Quotes

Ants Extermination Service
Ants Extermination Service
Ants Extermination Service

Ants extermination services involve identifying and eliminating ant infestations within residential, commercial, or industrial properties. Professionals typically conduct thorough inspections to locate ant colonies and determine the species involved. Treatment methods may include the application of targeted baits, insecticides, or barriers designed to eradicate existing colonies and prevent future invasions. The goal is to create a pest-free environment by addressing both visible ants and their hidden nests.

Ant problems can cause significant inconveniences and property damage, especially when colonies are left untreated. Ants may invade kitchens, pantries, and dining areas, contaminating food supplies and creating unsanitary conditions. Certain species, such as fire ants, can pose health risks through painful stings, while carpenter ants may damage wooden structures by tunneling within walls and framing. Exterminating these pests helps mitigate potential health hazards and structural issues, ensuring a safer and cleaner living or working space.

The types of properties that commonly utilize ants extermination services include single-family homes, apartment complexes, restaurants, and retail stores. Residential properties often seek treatment to protect food storage areas and maintain hygiene standards. Commercial establishments, especially those involved in food service or retail, require regular pest management to prevent infestations that could disrupt operations or damage reputation. Additionally, property managers of multi-unit buildings frequently coordinate with pest control providers to manage ant populations across multiple units.

Professional ant extermination services are tailored to address the specific needs of each property type and infestation severity. Local pest control providers employ a variety of techniques to effectively eliminate ants and prevent recurrence. They may recommend ongoing monitoring or maintenance plans for properties with recurring issues. Contacting a local pest control professional can help property owners and managers develop a customized approach to managing ant problems and maintaining a pest-free environment.

The overview below groups typical Ants Extermination Service projects into broad ranges so you can see how smaller, mid-sized, and larger jobs often compare in Allen, TX.

In many markets, a large share of routine jobs stays in the lower and middle ranges, while only a smaller percentage of projects moves into the highest bands when the work is more complex or site conditions are harder than average.

Initial Inspection - The cost for an ant extermination inspection typically ranges from $50 to $150, depending on the property's size and infestation severity. This fee often covers a thorough assessment to identify ant entry points and nesting areas.

Per-Visit Treatment - Single-visit ant treatments usually cost between $100 and $300, which includes application of targeted insecticides and bait stations. Multiple visits may be recommended for ongoing control, affecting overall costs.

Comprehensive Service Packages - Complete ant extermination packages can range from $200 to $600, often including multiple treatments, follow-up visits, and preventive measures for lasting results.

Preventive Treatments - Preventive or barrier treatments typically cost between $150 and $400, designed to create a chemical barrier around the property to deter future ant invasions.

Actual totals will depend on details like access to the work area, the scope of the project, and the materials selected, so use these as general starting points rather than exact figures.

Get an Ants Extermination Service Quote

Ants Extermination services connect homeowners with local pest control professionals experienced in eliminating ant infestations. These specialists use targeted treatments to address ant problems in residential and commercial properties.

Ants Prevention services help identify potential entry points and implement strategies to prevent future ant invasions, working with local providers to protect properties.

Residential Ant Control services are tailored to address ant issues within homes, with local pros applying effective solutions to ensure a pest-free living environment.

Commercial Ant Management services assist businesses in maintaining pest-free premises, with local service providers offering customized ant control plans.

Eco-Friendly Ant Treatments services connect users with providers offering environmentally conscious solutions for ant extermination and prevention.

Emergency Ant Extermination services link clients with local pros available for urgent ant control needs to address sudden infestations promptly.

Ants Extermination Service

When selecting a professional for ant extermination services, experience is an important factor to consider. Homeowners should look for local service providers with a proven track record in pest control, particularly in handling ant infestations. Established providers often have extensive knowledge of common ant species in the area and effective treatment methods, which can contribute to more efficient and thorough service. Reviewing the backgrounds of local pros can help ensure that the chosen contractor has the necessary familiarity with regional pest issues and a history of successful interventions.

Clear communication and well-defined expectations are essential when working with a pest control service provider. Homeowners are encouraged to seek out local pros who can provide detailed information about the process, including the methods used, potential outcomes, and any necessary follow-up. Reputable providers prioritize transparency and are willing to answer questions, helping clients understand what to expect throughout the service. Establishing open lines of communication can foster a smoother experience and ensure that all concerns are addressed before, during, and after treatment.

References and reputation are valuable indicators of a local pest control provider’s reliability. Homeowners should consider seeking recommendations from trusted sources or checking online reviews to gauge the experiences of previous clients. Reputable local pros often have positive references and a history of satisfied customers, which can serve as a useful guide in the selection process. By gathering information about a provider’s reputation within the community, homeowners can make more informed decisions and choose a pest control service that aligns with their needs and expectations.

Get an Ants Extermination Service Quote

Property owners in Allen, TX use Ants Extermination Service services for practical projects around their homes and businesses. The sections below highlight everyday jobs and straightforward project options.

Ants Extermination Service
Ants Extermination Service

Ants extermination services address common concerns for property owners in Allen, TX who notice ant activity around their homes or businesses. Whether dealing with small colonies in kitchens, pantry areas, or outdoor spaces, local professionals can provide targeted treatments to eliminate these pests effectively. Property owners often seek expert assistance to prevent ant infestations from spreading or returning, especially when ants begin to invade living or working spaces, disrupting daily routines.

In addition to immediate infestation control, residents and business owners may look for ant extermination services to protect their properties from future problems. Signs such as ant trails, nests near foundations, or increased activity during warmer months can prompt property owners to contact local service providers. These professionals help maintain a pest-free environment by offering solutions tailored to the specific needs of homes and commercial properties in the Allen area.

Get an Ants Extermination Service Quote

How do ant extermination services work? Ant extermination services typically involve inspecting the affected area, identifying ant species and entry points, and applying targeted treatments to eliminate colonies and prevent future infestations.

Are ant extermination treatments safe for pets and children? Many ant control methods are designed to be safe for households, but it’s recommended to discuss concerns with local service providers to ensure appropriate treatments are used.

How long does an ant extermination treatment usually take? The duration of treatment can vary depending on the extent of the infestation and the methods used, but service providers can offer an estimate during the consultation.

Will I need multiple treatments to eliminate ants? Some ant infestations may require more than one treatment to fully eradicate colonies and ensure ants do not return, depending on the severity of the problem.

How can I prevent future ant problems? Local pros often recommend sealing entry points, removing food sources, and maintaining clean surroundings to help prevent future ant issues after treatment.

Ants Extermination Techniques - Local service providers utilize various methods such as baiting, trapping, and targeted treatments to eliminate ant colonies effectively.

Identifying Ant Infestation Signs - Pros can help detect common indicators of an ant problem, including trails, nests, and unusual ant activity indoors or outdoors.

Preventive Ant Control Tips - Experts offer advice on reducing attractants and sealing entry points to help prevent future ant invasions.

Customized Ant Extermination Plans - Service providers develop tailored strategies based on the extent of the infestation and specific ant species present.

Ants Extermination Service

Considering Ants Extermination Service for a property in Allen, TX? The sections above highlight common project types, practical options, and details that often shape the scope of work.

When you are ready, use the quote form to share a few details about your project. Local pros can review the basics and respond with options that match what you have in mind.

Get an Ants Extermination Service Quote

Ants Extermination Quotes

Our Trusted Partners
Cantu Pest Control
Orkin
Hawx Pest Control