Local Service Overview

Get Ants Extermination Service in Dallas, TX

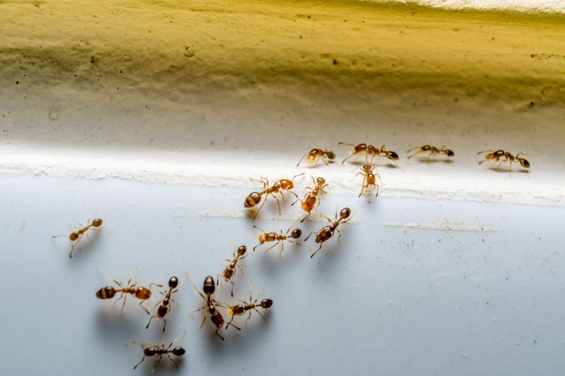
Ants extermination services for property owners in Dallas, TX, and nearby areas address ant infestations, including removal, prevention, and treatment of residential and commercial properties.

Dallas, TX

Ants extermination services in Dallas, TX, are essential for property owners seeking to maintain a comfortable and safe environment. Ant infestations can compromise the functionality of a home or business by damaging structures, contaminating food supplies, and creating nuisances that disrupt daily routines. Professional extermination providers use targeted methods to effectively eliminate colonies, helping property owners reduce ongoing maintenance efforts and prevent future invasions. This proactive approach supports long-term durability of the property and enhances overall curb appeal by ensuring outdoor spaces remain tidy and pest-free.

Engaging with local extermination specialists offers the benefit of tailored solutions designed to address specific ant species prevalent in Dallas, TX. Property owners often look for reliable services that deliver lasting results, promoting safety and peace of mind. Proper extermination not only eradicates existing colonies but also acts as a safeguard against future problems, contributing to a more enjoyable living or working environment. With professional assistance, residents and business owners can preserve the integrity of their properties while maintaining a clean, inviting appearance.

Get Ants Extermination Service Quotes

  • Ants Extermination - A service that helps eliminate ant infestations in residential or commercial properties.
  • Ants Prevention - Ideal for preventing future ant problems after initial treatment or during routine pest control.
  • Ants Inspection - Suitable when suspecting an ant colony or signs of ant activity in a home or business.
  • Ants Barrier Treatment - Used to create a protective barrier around structures in areas prone to ant invasions.
  • Ants Baiting Services - Effective for targeting ant colonies with bait stations to reduce populations over time.

Get Ants Extermination Service Quotes

Ants Extermination Service
Ants Extermination Service
Ants Extermination Service

Ants extermination services involve identifying and eliminating ant infestations within residential, commercial, or industrial properties. These services typically include thorough inspections to locate ant colonies and entry points, followed by targeted treatments using various methods such as baiting, trapping, or chemical applications. The goal is to effectively reduce or eradicate ant populations while minimizing disruption to the property. Professionals may also provide advice on preventive measures to help avoid future invasions, ensuring a comprehensive approach to ant control.

Ant infestations can cause significant problems for property owners, including damage to structures, contamination of food supplies, and general discomfort or nuisance. Certain ant species, such as carpenter ants, are known for damaging wood, which can compromise the integrity of buildings over time. Additionally, ants can be vectors for bacteria, potentially contaminating food and surfaces. Extermination services help address these issues by removing existing colonies and implementing strategies to prevent re-infestation, thereby safeguarding the health and integrity of the property.

These services are commonly utilized in a variety of property types, including single-family homes, apartment complexes, restaurants, and retail stores. Residential properties often seek ant extermination to protect food storage areas and maintain a comfortable living environment. Commercial properties, especially those involved in food service or retail, prioritize pest control to meet health and safety standards. Additionally, property managers and landlords frequently work with pest control providers to manage ant problems across multiple units or communal spaces, ensuring a pest-free environment for tenants and visitors.

Professional ant extermination services are tailored to the specific needs of each property, considering factors such as the severity of the infestation, property layout, and ant species involved. Local pest control providers use a combination of inspection, treatment, and prevention techniques to deliver effective solutions. Property owners seeking assistance can contact experienced service providers to assess their situation and develop a customized plan aimed at eliminating ants and minimizing future risks.

The overview below groups typical Ants Extermination Service projects into broad ranges so you can see how smaller, mid-sized, and larger jobs often compare in Dallas, TX.

In many markets, a large share of routine jobs stays in the lower and middle ranges, while only a smaller percentage of projects moves into the highest bands when the work is more complex or site conditions are harder than average.

Initial Inspection - The cost for a thorough ant inspection typically ranges from $50 to $150, depending on the property size and complexity. This fee often covers identifying ant species and infestation severity.

Per-Visit Treatments - Single-treatment services generally cost between $100 and $300. The price varies based on the extent of the ant problem and the treatment method used.

Ongoing Pest Control - Monthly or quarterly pest control plans for ant management usually fall within $40 to $70 per visit. These plans aim to prevent future infestations over time.

Barrier or Baiting Services - Installing ant barriers or bait stations typically costs from $150 to $400, depending on the property size and the number of bait stations needed for effective control.

Actual totals will depend on details like access to the work area, the scope of the project, and the materials selected, so use these as general starting points rather than exact figures.

Get an Ants Extermination Service Quote

Ants Extermination - Local pest control providers offer targeted treatments to eliminate ant colonies and prevent future infestations.

Ant Trails Removal - Service providers can identify and treat ant trails to disrupt their pathways and reduce their presence around properties.

Indoor Ant Control - Professionals utilize interior treatments to address ant issues inside homes and commercial spaces effectively.

Outdoor Ant Management - Experts apply exterior barriers and baiting systems to control ant populations in yards and garden areas.

Persistent Ant Infestation Solutions - Local pros develop customized plans to handle ongoing ant problems that resist initial treatments.

Ant Prevention Services - Service providers advise on and implement measures to keep ants from returning to residential and business properties.

Ants Extermination Service

When comparing local professionals for ant extermination services, experience is a key factor to consider. Homeowners should look for providers who have a proven track record in managing ant infestations within their specific area, such as Dallas, TX. Established local pros often possess extensive knowledge of common ant species and the most effective treatment methods, which can contribute to more reliable results. It’s beneficial to review the background of each service provider to understand how long they have been operating and their familiarity with local conditions.

Clear and written expectations are essential for a smooth service experience. Homeowners should seek professionals who provide detailed descriptions of their treatment processes, including what areas will be treated, the types of products used, and any necessary follow-up procedures. Transparent communication helps set realistic outcomes and ensures that homeowners are fully informed about what to expect. Reputable local pros typically offer comprehensive service plans that address specific ant problems and outline any preparations or precautions needed before and after treatment.

Reputation and references from previous clients can offer valuable insights into a local service provider’s reliability and quality of work. Homeowners are encouraged to request references or read reviews from local sources to gauge customer satisfaction. Effective communication is also a crucial aspect; professionals who are responsive and willing to answer questions can help build trust and ensure that homeowners feel confident in the service process. Since this platform connects users with local pros rather than performing the work directly, it’s important to evaluate these aspects when selecting a pest control provider for ant extermination services.

Get an Ants Extermination Service Quote

Property owners in Dallas, TX use Ants Extermination Service services for practical projects around their homes and businesses. The sections below highlight everyday jobs and straightforward project options.

Ants Extermination Service
Ants Extermination Service

Ants extermination services are commonly sought by property owners in Dallas, TX, who notice ant activity around their homes or businesses. Common situations include finding trails of ants in kitchens, bathrooms, or outdoor areas, which can indicate an infestation that needs prompt attention. Property owners may also request pest control services after experiencing increased ant presence during warmer months or following nearby construction that disrupts ant habitats.

In addition to visible ant colonies, property owners often seek extermination services to prevent potential damage or contamination. Ants can invade food storage areas or interfere with outdoor landscaping, prompting residents and business owners to look for professional assistance to eliminate the problem efficiently. Local service providers can address these everyday concerns by offering targeted treatments and advice to help keep properties ant-free.

Get an Ants Extermination Service Quote

How do ant extermination services work? Ant extermination services typically involve inspecting the property to identify ant entry points and nests, then applying targeted treatments to eliminate the colony and prevent future infestations.

Are ant extermination treatments safe for pets and children? Many extermination methods are designed to be safe when applied properly; it is recommended to discuss safety concerns with local service providers before treatment.

How long does an ant extermination treatment usually last? The duration of effectiveness varies depending on the treatment method and extent of the infestation, with some treatments providing long-term control and others requiring follow-up.

Can ant extermination services prevent future infestations? Yes, professional services often include recommendations and treatments to help reduce the likelihood of future ant problems.

How can I prepare my home for ant extermination? Homeowners are typically advised to clear clutter, store food properly, and inform the service provider of any active ant activity before treatment.

Ants Extermination Techniques - Local service providers utilize various methods to eliminate ant infestations, including baiting and targeted treatments.

Inspection and Identification - Professionals assess properties to identify ant species and entry points to develop effective extermination plans.

Preventive Ant Control - Service providers offer advice and treatments to help prevent future ant invasions around residential and commercial properties.

Emergency Ant Extermination Services - Immediate response options are available for urgent ant infestation issues requiring quick intervention.

Ants Extermination Service

Considering Ants Extermination Service for a property in Dallas, TX? The sections above highlight common project types, practical options, and details that often shape the scope of work.

When you are ready, use the quote form to share a few details about your project. Local pros can review the basics and respond with options that match what you have in mind.

Get an Ants Extermination Service Quote

Ants Extermination Quotes

Our Trusted Partners
Cantu Pest Control
Orkin
Hawx Pest Control